Remote Properties, LLC
Your Remote & Recreation Real Estate Broker - Specialist


Largest Selection of Lodges, Businesses, Motels, B & Bs, Cabins and Waterfront Parcels


HomeAbout UsDisclaimerContact UsAdvertisement - Listing with Us


Anchorage, AK
Phone: 907-277-4608

Click On Individual Sections
Lodges, Business Opportunities & Private EstatesYentna-Sustina DrainageGlennallen - McCarthy Ocean Front/ Prince Wm SoundInterior & Western AlaskaBristol Bay Area & SW AlaskaKenaiIliamna - Lake ClarkSoutheast AlaskaKodiakTalkeetna - Petersville, Willow, Cantwell, Big Lake and Matanuska River Areas Eagle River - Hiland Road Sold Properties

This site updated daily

 

 

 




Alaska Interior and Western Alaska



Nenana – Clear Area


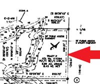
ASLS 91-182, Tract E  -  apr. 9.45 acres
Apr. GPS coordinates:    Lat. 64° 11' 44" N and Long. 149° 04' 50" W 

Remote, yet reasonably accessible.  This will get you into prime hunting areas on the north side of the Alaska Range and apr. 9 miles off the Parks Highway.

The "Trail" starts about 5 miles north of where the bridge crosses the Nenana River.

Please read the owner's Unimproved Fact Sheet, "Other Pertinent Facts".

Also make sure that you print out the maps and plats, especially the ones the owner created showing the access trail.

You will absolutely fall in love with the area and the property as it borders a small creek "Windy Creek", for fresh water supply.  And from there you can head out to hunt in one of the prime hunting areas for several species of game on the north side of the Alaska Range.

Make sure you have your GPS handy, and it may be best for the first trip to take your trusty ATV.

This is an excellent buy, but for this low price the owner wants cash.

The Price is:  $29,900.-

Click on images to enlarge

01 02 03
04 05 07
08 09 10
12 13 14
15 16 17
18 19 20
21 google google1
map1 map2 plat
plat1 plat2 plat3
information    
Disclaimer, Applicable to ALL Properties – Please Read!!!
"We are proud to represent the Seller on this fine property"
Click here to contact us
Return to Alaska Interior Properties
                Copyright © 2003- Remote Properties,LLC     Anchorage, Alaska  All rights reserved               Site Designed by Alaska Web Designs, LLC