Remote Properties, LLC
Your Remote & Recreation Real Estate Broker - Specialist


Largest Selection of Lodges, Businesses, Motels, B & Bs, Cabins and Waterfront Parcels


HomeAbout UsDisclaimerContact UsAdvertisement - Listing with Us


Anchorage, AK
Phone: 907-277-4608

Click On Individual Sections
Lodges, Business Opportunities & Private EstatesYentna-Sustina DrainageGlennallen - McCarthy Ocean Front/ Prince Wm SoundInterior & Western AlaskaBristol Bay Area & SW AlaskaKenaiIliamna - Lake ClarkSoutheast AlaskaKodiakTalkeetna - Petersville, Willow, Cantwell, Big Lake and Matanuska River Areas Eagle River - Hiland Road Sold Properties

This site updated daily

 

 

 




Alaska Interior and Western Alaska



Nenana River


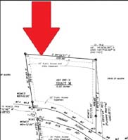
ASLS 2002-12, Tract M, Teklanika RRCS  -  apr. 5 acres
Apr. GPS coordinates:    Lat. 64° 29' 56" N and Long. 149° 17' 28" W

Only about 12 river miles from Nenana, just at the beginning of the West River.

Accessible by boat and of course, snowmobile.  Although the area offers some decent fishing, it is best known for great Moose Hunting.

So here is your chance to buy a Premo parcel and have a basic log cabin already there to keep you warm and cozy.

Please be sure to read the Owner's Detailed Narrative as well as the Improved Information Sheet, as it shows you what life in the bush is really like.

Offered for only $95,000.-

Owner will make you a "Great" deal if you cash him out!

Click on images to enlarge

b c d
e f g
h i jImprovedInformation-1
Improved Information
kDetailedOwnersNarrative-1
Owner's Detailed Narrative

l m
n o p
q r s
t u v
w x y
z z1 z10
z11 z12 z13
z14 z15 z16
z17 z2 z3
z4 z5 z6
z7 z8 z9

Disclaimer, Applicable to ALL Properties – Please Read!!!

"We are proud to represent the Seller on this fine property"
Click here to contact us
Return to Alaska Interior Properties
                Copyright © 2003- Remote Properties,LLC     Anchorage, Alaska  All rights reserved               Site Designed by Alaska Web Designs, LLC