Remote Properties, LLC
Your Remote & Recreation Real Estate Broker - Specialist

Largest Selection of Lodges, Businesses, Motels, B & Bs, Cabins and Waterfront Parcels


HomeAbout UsDisclaimerContact UsAdvertisement - Listing with Us


Anchorage, AK
Phone: 907-277-4608

Click On Individual Sections
Lodges, Business Opportunities & Private EstatesYentna-Sustina DrainageGlennallen - McCarthy Ocean Front/ Prince Wm SoundInterior & Western AlaskaBristol Bay Area & SW AlaskaKenaiIliamna - Lake ClarkSoutheast AlaskaKodiakTalkeetna - Petersville, Willow, Cantwell, Big Lake and Matanuska River AreasSold Properties

This site updated daily

 

 

 




Alaska Interior and Western Alaska



Cantwell


At the Intersection of the Parks and Denali Highway
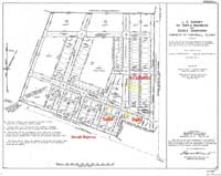
US Survey 3203 B, Block 9, Lots 12 & 13, (Block 12, Lot 5, Block 13, Lot 3)
SOLD

Cantwell, for those of you who do not know where Cantwell is, it is just outside of McKinley Park on the south side.  To be exact, about 3 miles from the Park border. 

No wonder it is such a popular place as this area is literally bursting at the seems with Park visitors during the summertime.  There may be a need for rentals or a place to camp be it for Park employees, summer visitors or just people who like the remoteness of this little village and yet having access to modern amenities.

These properties are part of the original Homesite of Cantwell before the Parks Highway connecting to Fairbanks and Anchorage existed.

Yes, up to the early 70s, getting access to McKinley Park was not all that easy.  The railroad or one had to drive from Anchorage, Glennallen, Paxton and then a bumpy dusty gravel road (still not much better from Paxton to Cantwell to the Park Headquarters/entry).

I would guess you never heard of property that cheap, a quarter acre of land for $17,500.-!  And yes, we have 4 of those lots for sale.  The owner moved out of state and may even discount a bit for all cash.

But keep in mind, you better know how to backpack, as you are totally off the grid and access is pretty much by foot.  The roads shown on the survey/plat are not all in yet, so you would be able to feel like a real pioneer, almost unheard of these days.

So hurry before someone else beats you to this Bargain!

Click on images to enlarge

GOOGLE-PLAT google map
plat information  
Disclaimer, Applicable to ALL Properties – Please Read!!!
"We are proud to represent the Seller on this fine property"
Click here to contact us
Return to Alaska Interior Properties
                Copyright © 2003- Remote Properties,LLC     Anchorage, Alaska  All rights reserved               Site Designed by Alaska Web Designs, LLC