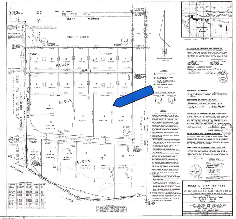
plat1